Dr. Berkei Rhinoplasty
“In my hands, the silhouette of the body is not only shaped, but the soul of a person is touched.”
plastic surgeon
Dr. Julia Berkei is a passionate specialist in plastic and aesthetic surgery. She considers her precise ability and talent to shape faces, especially noses, naturally and at the same time perfectly to the respective facial proportions to be a supreme art. Through her 26 years of experience, she has developed a special expertise in rhinoplasty and revision rhinoplasty which she uses to create lifelong results that exceed expectations.



In the media
Dr. Julia Berkei’s extensive media presence has been well established for over 20 years – one of the reasons for her outstanding international reputation. This makes her a pioneer of modern, factual and authentic reporting. Her exclusive rhinoplasty techniques, which she has perfected over the course of her remarkable career, have made her popular with national and international patients of all ages.
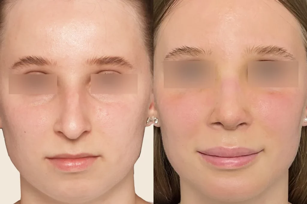
Precise Rhinoplasty
Dr. Julia Berkei is known for exquisite rhinoplasty for the highest standards worldwide.
Dr. med. Julia Berkei
Dr. Berkei has acquired her international expertise through extensive training and further education at the highest level. Her medical career began with study visits to India and Hong Kong. She then deepened her knowledge at the prestigious Harvard Medical School in Boston and Baylor College of Medicine in Houston. Dr. Berkei has continuously trained with leading plastic surgeons worldwide, including Prof. Jim May of Harvard Medical School, Dr. Patrick L. Tonnard / Coupure Centre for Plastic Surgery in Ghent, Belgium and Prof. Enrico Robotti, Director of the Department of Plastic Surgery at Ospedale Papa Giovanni XXIII in Bergamo, Italy.
Through her passion for perfection, Dr. Berkei has reached a level that makes her one of the most sought-after plastic surgeons in the world, especially for difficult revision procedures.
Perfectly natural results
The “Nose by Berkei” rhinoplasty is the exclusive surgical technique developed by Dr. Julia Berkei through her extensive surgical knowledge, artistic sensitivity and years of experience. It consists of three essential components: an ENT operation to improve breathing, artistic shaping of the nose and structural securing for lifelong stability. This comprehensive approach, which only a few surgeons worldwide have fully mastered, guarantees functional and aesthetically exceptional results.
Rhinoplasty procedures
Primary Rhinoplasty
Enrich your life with an exclusive primary rhinoplasty that focuses on both functional and aesthetic aspects. With her unparalleled sensitivity and attention to detail, Dr. Berkei achieves exceptional results that complement your face in an elegant and harmonious way.
Secondary Rhinoplasty
Dr. Julia Berkei is an expert in the highly complex and sophisticated surgical technique of secondary rhinoplasty. When reconstructing a stable and functional nose, Dr. Berkei pays precise attention to every millimetre, considers statics, function and aesthetics in equal measure and carefully balances these factors in order to achieve the best possible result for her patients, who are often under great emotional strain.
Middle eastern Rhinoplasty
Dr. Julia Berkei is an expert in middle eastern rhinoplasty that focuses on your special ethical needs and wishes. Her specialized technique preserves your unique ethnic features that define who you are while fulfilling your aesthetic wishes. Her procedure ensures natural-looking results by avoiding “racial incongruity” by shaping a nose that fits Middle Eastern standards while maintaining harmony and symmetry with your facial structure. Dr. Berkei understands the challenge and special needs of middle eastern rhinoplasty. She carefully applies her extensive knowledge and empathy to her work to achieve perfectly natural results.
Non-surgical Rhinoplasty
Dr. Julia Berkei and her team are experts in non-surgical rhinoplasty. The subtle art of non-surgical rhinoplasty allows them to achieve a perfect nose shape without surgery. Dr. Julia Berkei is an expert in the use of hyaluronic acid and crystal cortisone to achieve a nose shape that meets your desires while being minimally invasive.
Modern 3D Imaging Technology
Dr. Julia Berkei offers you the unique opportunity to see your new nose before the operation with an accuracy of 80-90%. Using state-of-the-art 3D computer simulation, she can visualize how your bespoke nose will fit your face. This technology is crucial for precise pre-operative planning and education, as it allows you to work with Dr. Berkei, an experienced plastic surgeon, to determine the perfect shape for your nose.
Dr. Julia Berkei’s approach
Improving the ventilation of the nose and thus breathing through functional adjustments to the nose
The stabilization of the nose through fine cartilage connections for a stable nose for a lifetime
The artistic shaping of the nose based on your individual wishes
The B Safe package with careful, individualized aftercare for your best possible recovery
The love for charity
Driven by her deep desire to help people in need, Dr. Julia Berkei has been volunteering for children in the developing world since 2002. MIT-e.V. was founded in 2009 on her initiative. Together with the medical team, she has transformed the lives of hundreds of children with cleft lips and palates in Mandalay, Myanmar.
Recently, Dr. Julia Berkei was appointed to the board of trustees of the renowned YOU Foundation: Education for Children in Need, a project in official relations with UNESCO. Here, Dr. Berkei, who had to withdraw from Myanmar after the outbreak of the civil war, seeks to identify and personally support projects that are of great importance to her.
An exclusive experience
Dr. Julia Berkei welcomes you to the comfortable and elegant practice rooms, which are designed to provide you with a pleasant and calming atmosphere. Throughout your treatment visit, you will enjoy a unique and personalized experience. Dr. Berkei’s caring team will ensure that you feel well looked after from the very first moment and receive the highest level of care.
Exclusive plastic surgery
Dr. Julia Berkei not only has mastered the demanding art of rhinoplasty, but also performs aesthetic treatments for the entire body. She is often booked for several combination procedures. Together with her highly qualified team, she transforms your plans into reality with an attention to detail that leaves nothing to be desired. We offer you the option of combining your rhinoplasty with other surgical treatments to achieve your aesthetic goals in every detail.
Dr. Berkei in TV
Dr. Berkei appeared on the popular German TV channel Pro7. She supported TV presenter Jenke von Wilmsdorff in an experiment that aimed to look significantly younger within 100 days through facial plastic surgery.
The famous musician and “King of Pop” Michael Jackson underwent numerous cosmetic operations during his lifetime. In a documentary on the German channel VOX, Dr. Julia Berkei discusses his procedures.
In the series “Body Modification” on the German channel hr-fernsehen, Dr. Julia Berkei accompanies a young woman on her journey to a nose correction and provides transparent information about the methods of rhinoplasty.
The Redaktionsnetzwerk Deutschland (RND) accompanied young Greta on her life-changing journey to her dream nose with Dr. Julia Berkei. In-depth insights from the first decision to the final result.
Dr. Julia Berkei gifted the twins Emilia and Sophia more self-confidence and a new attitude to life with new noses. The German TV channel RTL was there live and shed light on the rhinoplasty process.
As part of a ZDF documentary on the subject of cosmetic surgery, Dr. Julia Berkei shared her knowledge of rhinoplasty and other plastic surgery treatments on German television.
As an experienced plastic surgeon with a special empathy, Dr. Julia Berkei spoke about the psychological aspect of cosmetic surgery in a documentary by the German broadcaster hessenschau.
Get in touch
Leave a request or contact us by phone or email.
Phone: +49 69 920 200 96
Email: info@drberkei.com